Hoy martes 24 de octubre, Otis se convirtió en huracán categoría 1; mantiene su trayectoria al sur de Guerrero, según el último reporte del Servicio Meteorológico Nacional (SMN).
El reporte al mediodía de hoy 24 de octubre indicaba que Otis se encontraba a 175 kilómetros (km) al sur-suroeste de Punta Maldonado y a 235 km al sur-sureste de Acapulco, Guerrero
Consecuentemente, los informes emitidos por SMN al paso de la tarde de hoy martes 24 de octubre, revelaron que Otis se convirtió en huracán categoría 2.



En cuestión de horas, señalaron los reportes de SMN, Otis adquirió la clasificación de huracán categoría 3 con pronósticos de una pronta transformación al siguiente nivel.
Los cuales se hicieron realidad al transcurso de hoy martes 24 de octubre, siendo las 18:00 horas cuando se declaró su conversión a huracán categoría 4, pero no se descartó la posibilidad de que aumente hasta alcanzar la categoría 5 durante las próximas horas.
Servicios advierten que por el Otis se pueden generar descargas eléctricas, deslaves, incremento en niveles de ríos y arroyos, así como desbordamientos e inundaciones en zonas de los estados mencionados.
En ese sentido, el Servicio Meteorológico Nacional (SMN) exhorta a la población, a los turistas y a la navegación marítima, a atender los avisos, seguir las recomendaciones de Protección Civil y extremar precauciones ante las lluvias, viento y oleaje elevado.
Por tal motivo, el presidente AMLO llamó a la población a acatar las medidas preventivas, con la intención de mantenerse resguardados durante el paso de este Huracán.
Esto, luego de que se informó que sus bandas nubosas se han intensificado con el arribo de la madrugada, y se confirmó que tocó tierra a las 00:25 horas.
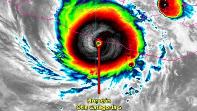
Huracán Otis toca tierra como Huracán categoría 5 en Acapulco; provoca lluvias torrenciales
El SMN informó que a las 00:25 horas de este miércoles 25 de octubre, el ojo del Huracán Otis tocó tierra como Huracán categoría 5.
Esto se dio en la ciudad de Acapulco, Guerrero, antes de lo previsto por los expertos. Esto, porque lo cálculos arrojaban que sería a las 04:00 de esta madrugada cuando tocara tierra, sin embargo, se intensificó de manera acelerada.
Al momento presenta vientos máximos sostenidos de 270 km/h y rachas que pueden alcanzar hasta los 330 km/h. Además, se detalló que la velocidad de desplazamiento es de 17 km/h con dirección al nor-noroeste.
Se prevé que durante las próximas 3 horas se registren lluvias torrenciales, acompañadas por descargas eléctricas, en las zonas de:
- Acapulco
- Norte
- Centro
- Costa Grande
- Costa Chica
- Montaña
- Tierra Caliente
Las autoridades alertan que las fuertes lluvias pueden provocar poca o nula visibilidad en los tramos carreteros, así como deslaves debido al reblandecimiento del suelo. Por tal motivo, instan a resguardarse y no salir hasta que estos efectos del Huracán Otis como categoría 5 paren.
Fuertes lluvias provocadas por el Huracán Otis azotan Acapulco; comienzan los cortes de energía
A través de redes sociales, varios usuarios han compartido que ya se registran fuertes lluvias ante la aproximación del Huracán Otis como categoría 5.
En las imágenes se puede observar las fuertes ráfagas de viento que se registran, mismas que pueden provocar el desprendimiento de árboles y palmeras.
Además, sectores reportan cortes de energía, servicio que se desconoce cuando se pueda reestablecer, pues es parte de las medidas que se toman por precaución ante el arribo del Huracán Otis.
Huracán Otis se intensifica en aguas del Océano Pacífico como categoría 5; provocará lluvias en estos estados
El SMN, en su informe hasta las 22:00 horas del Huracán Otis, informó que la tormenta se intensificó en aguas del Océano Pacífico como categoría 5.
Esto, pues presenta vientos máximos sostenidos de 270 km/h, y rachas que llegan a los 330 km/h. El ojo del Huracán Otis se encuentra a 70 km al sur-sureste de Acapulco y a 140 km al sur-sureste de Tecpan, Guerrero.
Su desplazamiento se aceleró con rumbo al nor-noroeste, a 15 km/h, por lo que de acuerdo con las autoridades, se prevé que su aproximación a tierra pueda adelantarse antes de lo previsto.
Las bandas nubosas del Huracán Otis como categoría 5, provocarán lluvias extraordinarias en el estado de Guerrero, así como lluvias muy fuertes en el estado de Oaxaca. Además, las autoridades alertan que se presentará oleaje de 8 a 10 metros en las costas de Guerrero y en el occidente de Oaxaca.
De igual forma, se aumentó la posibilidad de chubascos lluvias fuertes en los estados de:
- Michoacán
- Estado de México
- Morelos
- Puebla
- Tlaxcala
Huracán Otis alcanza la categoría 5 la noche de este martes
La Coordinación Nacional de Protección Civil informó a las 21:08 horas de este martes, que el Huracán Otis alcanzó los niveles de categoría 5.
Esto tras registrar vientos máximos sostenidos de 260 km/h, y ráfagas que alcanzan rachas de hasta 315 km/h.
Hasta el momento la tormenta se mantiene sobre aguas del Océano Pacífico y se desplaza con dirección al nor-noroeste a una velocidad de 15 km/h.
Al momento el Huracán Otis, ya como categoría 5, se localiza a 90 km al sur-sureste de Acapulco y a 125 km al oeste-suroeste de Punta Maldonado.
Instala Guerrero Centro de mando y Protección Civil alista preparativos ante arribo del Huracán Otis; suspenderán clases este miércoles en todos los niveles
Tras darse a conocer que el Huracán Otis sigue su curso hacia las costas del estado de Guerrero, la gobernadora de la entidad, Evelyn Salgado, informó la creación de un Centro de Mando que servirá para la Atención de los Efectos provocados por esta tormenta.
Este está ubicado en la ciudad de Acapulco, dentro de la Décimo Segunda Región Naval y servirá para coordinar las actividades de las tres ordenes de gobierno.
Esta incluyen vigilancia y monitoreo del paso de la tormenta, además de auxiliar a la población que se encuentra en situación vulnerable.
Por su parte, la Secretaría de Gestión Integral de Riesgos y Protección Civil (SGIRPC) del estado de Guerrero, informó que fueron instalados 631 refugios temporales, mismos que están a disposición de los habitantes que los soliciten.
Además, se tiene una reserva de más de 8 mil ayudas alimentarias y de limpieza, mismas que fueron entregadas por el paso de el Tormenta Max, misma que impactó Guerrero tan sólo días atrás.
Hicieron un llamado a todos los que se encuentran en la zona costera de la entidad, a trasladarse a los refugios disponibles y a que no se queden a cuidar pertenencias, puesto podría cobrar la vida.
Por motivo del arribo del Huracán, Roberto Arroyo, secretario de Protección Civil, informó que se tomó la decisión de suspender todas las actividades administrativas este miércoles, así como las clases presenciales en todos los niveles escolares.
Otis tocará tierra en Acapulco y Tecpan, Guerrero como categoría 5; AMLO manda advertencia a la población
El SMN señaló en su ultimo reporte de las 18.00 horas, que Otis se convirtió en Huracán categoría 4, sin embargo, alertó que se espera que en próximas horas llegue a alcanzar la categoría 5.
Se estima que sea con esta categoría como toque tierra en Guerrero, evento que se espera ocurra durante la madrugada de este miércoles, aproximadamente en un rango de las 04:00 a las 06:00 horas.
Por ello, esta información fue retomada por el presidente Andrés Manuel López Obrador (AMLO), quien a través de sus redes sociales aprovechó para enviar una advertencia a la población.
El titular del ejecutivo federal destacó que ya se lleva a cabo el Plan DN-III-E y el Plan Marina en las costas de Guerrero, en auxilio de la población se encuentra vulnerable.
Asimismo, instó a que las y los guerrerenses acepten su traslado a refugios y a que se mantengan en sitios seguros, además de que no se acerquen a ríos, arroyos, barrancas y que se mantengan siempre en estado de alerta.
“Están en marcha el Plan DN-III-E y el Plan Marina en coordinación con el gobierno del estado. Acepten trasladarse a refugios, mantenerse en lugares seguros: alejados de ríos, arroyos, barrancas y estén alerta, sin confiarse. Nosotros también estamos pendientes”.
AMLO
Otis ya es huracán categoría 4; hay alerta roja en Guerrero
En su reporte emitido alrededor de las 18:00 horas, SMN declaró que, tal como se había pronosticado, Otis ya es huracán categoría 4, hoy martes 24 de octubre.
Por ende, en el estado de Guerrero, sitio donde mantiene su trayectoria, se declaró una alerta roja por vientos que van de los 210 a 250 km/h.
De acuerdo con SMN, es muy probable que tras convertirse en huracán categoría 4, Otis adquiera la clasificación posterior en las siguientes horas de hoy 24 de octubre.
Mientras tanto, recomiendan que en las costas de Guerrero se mantengan al tanto de los informes de SMN, ya que su alerta roja continúa con pronósticos de lluvias torrenciales en el territorio.
En cuestión de horas, Otis se convirtió en huracán categoría 3
Todo apunta a que el transcurso y comportamiento de Otis durante hoy martes 24 de octubre se mantendrán activos y con un intensidad ininterrumpida.
Ya que SMN informó que Otis ya es un huracán de categoría 3, a tan solo unas horas de que se emitió el reporte de su conversión al segundo nivel.
De acuerdo con SMN, Otis sigue localizado frente a las costas del estado de Guerrero, mas la zona de Oaxaca también ha sido declarada como región de alerta.
Asimismo, se espera que durante el resto de la tarde, o bien, en la noche, Otis pase de ser un huracán de categoría 3 a categoría 4.
Otis se convirtió en huracán categoría 2
En seguimiento a la trayectoria e intensidad de Otis, SMN informó que durante la tarde de hoy martes 24 de octubre se convirtió en un huracán categoría 2.
Asimismo, que mantenía su centro y desplazamiento por el estado de Guerrero con rachas de viento de hasta 215 km/h.
De acuerdo con SMN, al ser un huracán categoría 2, se estima que Otis ocasione precipitaciones en las siguientes entidades de la república:
- Guerrero: lluvias torrenciales
- Oaxaca: lluvias intensas
- Estado de México, Morelos y Puebla: lluvias fuertes
- Michoacán y CDMX: chubascos
Cabe destacar que SMN advirtió que Otis podría adquirir la clasificación de huracán categoría 3 en el transcurso de hoy martes 24 de octubre.
Otis se convierte en huracán categoría 1
La Comisión Nacional del Agua (Conagua) Clima, informó que a las 12:00 horas de hoy 24 de octubre, Otis se intensificó a huracán categoría 1 en la escala Saffir Simpson, frente a las costas de Guerrero.
El huracán se localizó a 175 kilómetros (km) al sur-suroeste de Punta Maldonado y a 235 km al sur-sureste de Acapulco, Guerrero, con vientos máximos de 130 km/h y rachas de hasta 155 km/h.
El huracán Otis se desplaza hacia el nor-noroeste, por lo que se mantiene zona de prevención por efectos de huracán desde Punta Maldonado hasta Zihuatanejo, Guerrero, y zona de prevención por efectos de tormenta desde Lagunas de Chacahua, Oaxaca, hasta Punta Maldonado, Guerrero.
Otis también provocará lluvias torrenciales en Guerrero, intensas en Oaxaca y fuertes en Estado de México, Morelos y Puebla.
Tormenta tropical Otis se convertirá en Huracán Categoría 1
El reporte del SMN y la Conagua apunta a que la tormenta tropical Otis se convertirá en huracán categoría 1 en las próximas horas.
En los próximos días, el futuro huracán categoría 1 Otis, podría tocar tierra, pero su impacto aún no se puede medir del todo, pero se sabe que después volverá a ser tormenta tropical.
Según este último reporte marca como a 175 kilómetros al suroeste de Lagunas de Chacahua, Oaxaca, y a 280 kilómetros al sur-sureste de Acapulco, Guerrero como los lugares más cercanos a la tormenta tropical Otis.
Mientras tanto, se mantiene la zona de prevención por efectos de huracán desde Punta Maldonado hasta Zihuatanejo, Guerrero.
También otra zona de vigilancia por efectos de huracán es desde Lagunas de Chacahua, Oaxaca, hasta Punta Maldonado, Guerrero, y zona de prevención por efectos de tormenta tropical desde Lagunas de Chacahua, Oaxaca, hasta Punta Maldonado, Guerrero.
Con base el último reporte de las 6:15 horas, la tormenta tropical tiene un desplazamiento al nor-noroeste (330°) a 13 km/h.
Además de tener vientos máximos (km/h); vientos sostenidos de 100 km/h y rachas de 120 km/h.
Tormenta tropical Otis que se convertirá en Huracán Categoría 1 provocará intensas lluvias en 9 estados de la república
La tormenta tropical Otis que se convertirá en huracán categoría 1 también provocará intensas lluvias en el menos 9 estados de la república mexicana, que son:
- Lluvias torrenciales en Guerrero
- Lluvias intensas en Oaxaca y Chiapas
- Lluvias fuertes en el Estado de México, Morelos y Puebla
- Chubascos en Michoacán, Tlaxcala y Ciudad de México (CDMX)
Además, se mantendrá en estrecha vigilancia por su aproximación a las costas de Oaxaca y Guerrero; y se prevén de rachas de viento de 70 a 90 km/h y oleaje de 3 a 5 metros de altura en costas de Oaxaca.
Por la tormenta tropical Otis, el SMN pide extremar precauciones a la población en general en las zonas de los estados 9 por lluvias, viento y oleaje (incluida la navegación marítima).
Así como atender las recomendaciones emitidas por las autoridades del Sistema Nacional de Protección Civil, en cada entidad.



