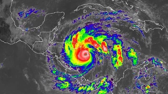
México.- El Centro Nacional de Huracanes de Estados Unidos (CNH) informó que el huracán 'Iota', que casi tocó la categoría 5 se degradó a tormenta tropical y se dirige a Honduras.
El fenómeno meteorológico, que dejó graves daños en Nicaragua, se mueve hacia el este del país a una velocidad de unos 15 kilómetros por hora y se tiene previsto que esta trayectoria se mantenga durante los siguientes días.
CNH reportó que el centro del huracán, convertido en tormenta tropical, se internará en el norte de Nicaragua y luego se moverá por el sur de Honduras, adonde llegará la noche de este 17 de noviembre o a primera hora de este miércoles 18 de noviembre.
'Lota' mantiene unos vientos máximos sostenidos de cerca de 105 millas por hora (165 kilómetros por hora) con ráfagas eventualmente más fuertes, a pesar de haber disminuido su categoría a tormenta tropical.
De acuerdo con el reporte, se tiene previsto que la tormenta tropical se debilite a lo largo de este 18 de noviembre de forma rápida y que quede totalmente disipado en Centroamérica, donde es probable que finalice su recorrido.
'Iota' deja destrozos en Nicaragua
El huracán 'Iota', convertido en tormenta tropical, llegó a tener vientos de 250 kilómetros por hora causando el destrozo de techos de viviendas, así como el colapsó el tendido eléctrico e inundó decenas de comunidades en el Caribe norte de Nicaragua, donde tocó tierra la noche de este lunes 16 de noviembre.
Las autoridades tienen un reportes preliminar de ráfagas de vientos fuertes, precipitaciones, caídas de árboles, de postes de luz y desprendimiento de techos, con daños todavía sin cuantificar.
La agencia EFE hace notar que 'Iota' entró cerca de Haulover, en la costa caribeña de Nicaragua, donde habitan unas 350 familias con mil 750 personas, en su mayoría indígenas de origen miskito.
En la comunidad, dedicada a la pesca artesanal y al turismo, tuvo que ser evacuada en su totalidad, aunque todavía no se tiene ningún informe de los daños.
El punto en el que tocó tierra el huracán que se degradó a tormenta tropical se encuentra 15 kilómetros al sur de donde lo hizo el huracán 'Eta', también de categoría 4, el pasado 3 de noviembre.
