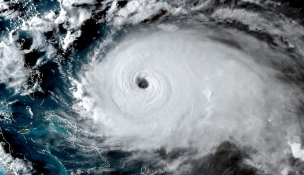
México.- El huracán Dorian ha ganado fuerza en las últimas horas y se convirtió en un huracán de categoría 5, el nivel más alto de la escala de Saffir-Simpson, según informó el Centro Nacional de Huracanes de Estados Unidos (NHC).

El Centro Nacional también calificó de “catastrófico” el huracán a su paso por las Bahamas, donde empezó a hacerse notar al mediodía del domingo, 1 de septiembre.
“Un periodo prolongado de marejada, vientos devastadores vientos huracanados y fuertes lluvias son capaces de producir inundaciones repentinas con riesgo para la vida”.
NHC
A través de su cuenta de Twitter, el organismo informó que el ciclón avanza con vientos sostenidos de casi 260 kilómetros por hora. La pared del ojo del huracán golpea las Islas Ábaco con vientos devastadores, en el noroeste de las Bahamas.
{username} (@NHC_Atlantic) September 1, 2019
Según el Centro Nacional se trata de "una situación extremadamente peligrosa para las Bahamas", pues ha reportado un registro superior de de vientos con una velocidad de 295 km/h.
Por su parte, el gobernador de Florida, Ron de Santis, pidió a la población reunir suministros y estar listo para evacuar si lo ordenan las autoridades, pues podría provocar daños importantes en viviendas, edificios industriales y otro tipo de inmuebles pequeños, además de inundaciones.

Se prevé que Dorian recorra la costa de los estados de Florida, Georgia, Carolina del Sur y Carolina del Norte, por lo que todos los dirigentes alertaron sobre sus efectos, en forma de fuerte oleaje, vientos y tormentas, mismos que podrían afectar peligrosamente a las localidades costeras.
Se forma tormenta tropical Juliette
La tormenta tropical Juliette se ha formado este domingo 1 de septiembre, en las aguas del Pacífico mexicano reforzando el potencial de lluvias en la región pese a estar lejos de las costas, informó el Servicio Meteorológico Nacional (SMN).
Juliette se localiza 720 kilómetros al suroeste de Punta San Telmo, en el estado de Michoacán, y 735 kilómetros al sur-suroeste de Manzanillo, en Colima, por lo que el SMN instó a extremar precauciones por lluvias, viento y oleaje.

Según el pronóstico de la institución, la tormenta tropical puede convertirse en huracán categoría 1 este lunes 2 de septiembre, mientras avanza en paralelo de las costas mexicanas. Durante la temporada de huracanes, que comenzó el pasado 15 de mayo y concluye oficialmente el próximo 15 de noviembre, se espera que se formen 19 ciclones en el Pacífico.
