El huracán Kristy ya es cateogría 4; sigue su trayectoria en vivo y si afectará a México durante su paso por el océano Pacífico.
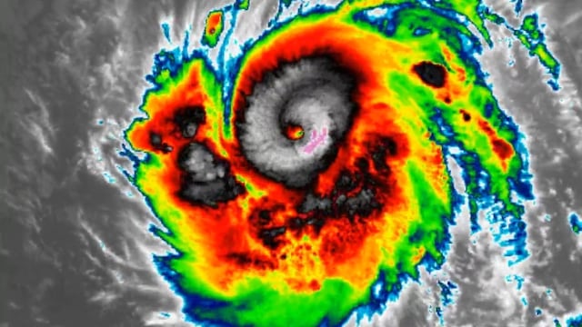
La tarde de hoy miércoles 23 de octubre, alrededor de las 15:00 horas, el Servicio Meteorológico Nacional informó que Kristy se intensificó a huracán categoría 4 en la escala Saffir-Simpson.
Para entonces, el huracán Kristy se ubicaba a 1 mil 140 kilómetros de Cabo San Lucas, Baja California Sur, con desplazamiento hacia el oeste.



Debido a su fortaleza, el huracán Kristy podría convertirse en categoría 5 durante la noche o madrugada del 24 de octubre.
Pero, ¿el huracán Kristy afectará a México? Esto es lo que se espera durante su trayectoria en el océano Pacífico.
Huracán Kristy trayectoria en vivo: ¿Afectará a México?
De acuerdo con lo indicado por el Servicio Meteorológico Nacional, el huracán Kristy como categoría 4 se desplaza hacia el oeste, con lo que se aleja de las costas mexicanas.
La localización del huracán marcaba como distancia más cercana a México el suroeste de Isla Socorro, Colima, a 210 kilómetros y 1 mil 140 kilómetros al sur-suroeste de Cabo San Lucas.
Su desplazamiento hacia el oeste es a 31 kilómetros por hora (km/h) con vientos sostenidos de 250 km/h y rachas de 205 km/h.
Por lo que con base en su distancia y trayectoria, las autoridades mexicanas descartaron que represente un riesgo para el territorio mexicano.
Huracán Kristy: Pese a su lejanía de México, estos estados tendrán fuertes lluvias
A pesar de que el huracán Kristy como categoría 4 se aleja de México, otros fenómenos meteorológicos provocarán lluvias fuertes en varios estados del país.
Durante la noche de hoy y madrugada de mañana 24 de octubre, canales de baja presión en interacción con inestabilidad en niveles altos de la atmósfera y el ingreso de humedad de ambos litorales provocarán las siguientes precipitaciones:
- lluvias puntuales fuertes en: Puebla, Veracruz, Oaxaca, Chiapas y Tabasco
- chubascos en: Chihuahua, Durango, San Luis Potosí, Tamaulipas, Sinaloa, Nayarit, Jalisco, Colima, Michoacán, Guerrero, Estado de México y la península de Yucatán
- lluvias aisladas: en Coahuila, Nuevo León, Zacatecas, Querétaro, Hidalgo, Morelos y la CDMX
